Environment

Axial Seamount

Why in news β€” Scientists monitoring the Axial Seamount, an underwater volcano off the coast of Oregon, have warned that it may erupt before the end of 2025. While the volcano is showing signs of inflation and increased seismicity, experts stress that any eruption would be slow and harmless to people.

Axial Seamount

Why in news?

Scientists monitoring the Axial Seamount, an underwater volcano off the coast of Oregon, have warned that it may erupt before the end of 2025. While the volcano is showing signs of inflation and increased seismicity, experts stress that any eruption would be slow and harmless to people.

Background

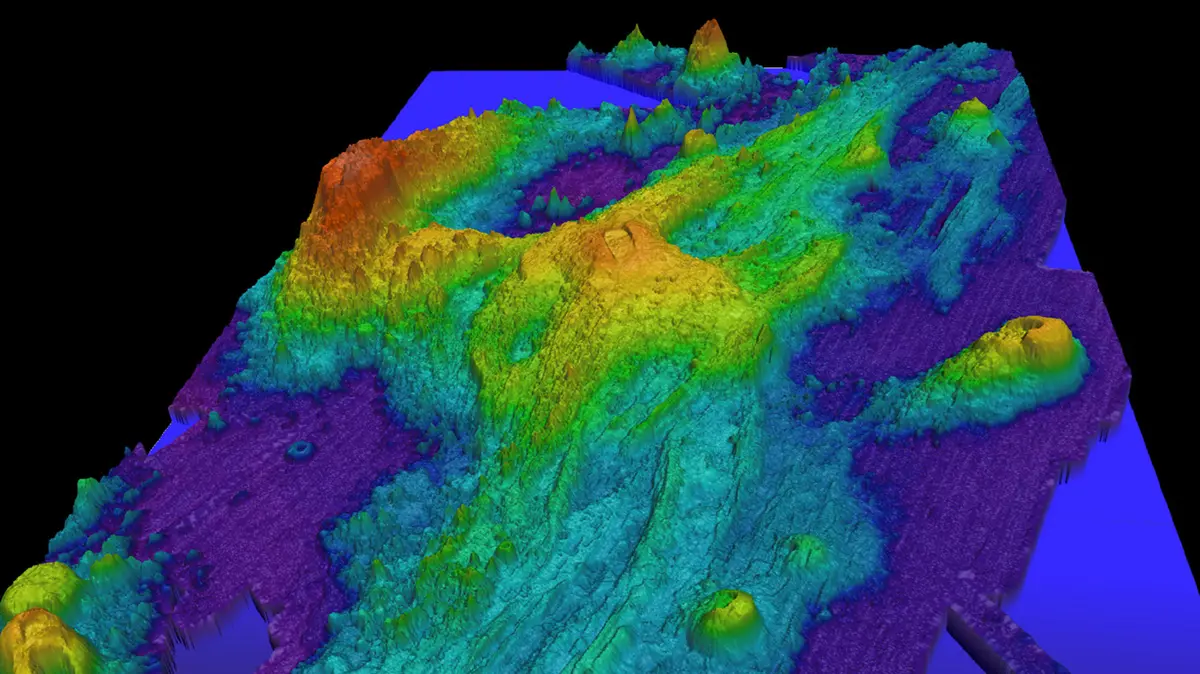
The Axial Seamount sits about 300 miles west of Oregon on the Juan de Fuca mid‑ocean ridge. It is a shield volcano rising about 700 metres above the surrounding seafloor and capped by a large caldera. Because it lies nearly a mile beneath the ocean surface, its eruptions are not explosive; lava oozes through cracks and spreads across the seafloor. The volcano is one of the most active in the Pacific Northwest, having erupted in 1998, 2011 and 2015.

Monitoring and predictions

  • Regional Cabled Array: A network of instruments run by the U.S. Ocean Observatories Initiative continuously measures ground deformation, seismic activity and chemical changes. Researchers can watch live video from hydrothermal vents on the volcano’s flanks.
  • Magma inflation: The volcano slowly inflates as magma accumulates beneath the crust. Scientists have observed inflation reaching levels seen before the previous three eruptions, suggesting another eruption is imminent.
  • Earthquake activity: Micro‑earthquakes occur as the crust adjusts. During past eruptions, quake counts spiked to more than 2,000 per day for several months. In early 2025 there was a rise to a few hundred quakes per day, but activity later subsided.
  • Tidal influence: Eruptions at Axial Seamount may be triggered by tidal forces. High tides suppress eruptions by pressing down on the crust, whereas low tides reduce pressure and can prompt magma to ascend.

Impact and significance

An eruption of Axial Seamount would have little effect on humansβ€”it would likely be unnoticed by people on ships. Nevertheless, studying such eruptions helps scientists understand how mid‑ocean ridges create new oceanic crust, how hydrothermal vent communities recover after lava flows, and how external factors like tides influence submarine volcanism.

Sources: University of Washington Β· Oregon Public Broadcasting

Continue reading on the App

Save this article, highlight key points, and take quizzes.

App Store Google Play
Home Current Affairs πŸ“° Daily News πŸ“Š Economic Survey 2025-26 Subjects πŸ“š All Subjects βš–οΈ Indian Polity πŸ’Ή Economy 🌍 Geography 🌿 Environment πŸ“œ History Exam Info πŸ“‹ Syllabus 2026 πŸ“ Prelims Syllabus ✍️ Mains Syllabus βœ… Eligibility Resources πŸ“– Booklist πŸ“Š Exam Pattern πŸ“„ Previous Year Papers ▢️ YouTube Channel
Web App
```